Lote para Leilão
Processo: 5000088-32.2009.8.21.0145
Início em 18/06/2025 às 09:00 até 18/08/2025 às 15:00
Local: Site da Benedetto Leilões: www.benedettoleiloes.com.br
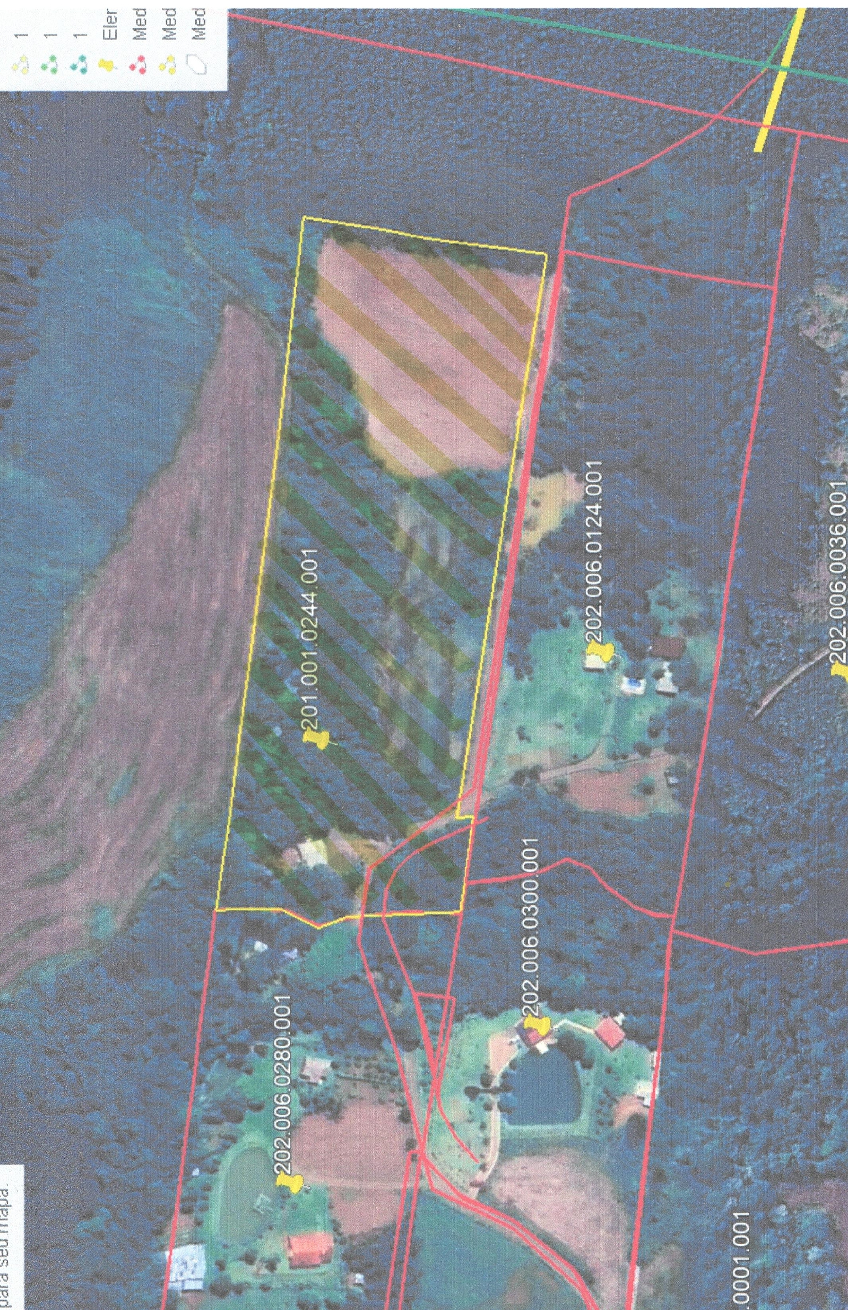
A fração ideal de 1.584,00m², que corresponde a 4% de um pedaço de terras, situado em Morro Reuter, neste Município, com a área de 12,1ha ou sejam 110,00 metros de largura por 1.100,00 metros de comprimento, com as seguintes confrontações: frente ao Oeste com a propriedade de Antônio Aloisio Kolling; fundos ao Leste com a de Pedro Schäffer, dividindo-se, pelo Norte com a propriedade de Carlos Alfredo Wiest, Jacob Adams e José Deimling e ao Sul com a de Antonio Aloisio Kolling e Teobaldo Kolling. Observação: conforme AV.1/4543, foram vendidas as áreas de 3,3ha e 4,84ha, remanescendo ainda a área de 3,96ha ou 39.600,00m². Ônus: nada consta. Matrícula nº 4.543 do Ofício do Registro de Imóveis da Comarca de Dois Irmãos/RS – Livro nº 2 – Registro Geral. Avaliação: R$38.720,00 (trinta e oito mil, setecentos e vinte reais).
Leia maisValor de Avaliação:
Lance Inicial: R$ 19.360,00
Visitas ( 2049 ) - Lances ( 0 )

